طراحی پلان و نما ساختمان نومل

طراحی پلان و نما ساختمان نومل

شروع مسابقه : 14 اسفند 1401

پایان ثبت‌نام : پایان یافته

پایان مسابقه : 04 اردیبهشت 1402

مبلغ ورودی : 225,000 تومان

900,000,000 ریال جایزه نقدی
تعداد شرکت کنندگان: 54 نفر

اطلاعات پایه

  • نوع مسابقه:

    طراحی مسکونی

  • مبلغ جایزه:

    900,000,000 ریال

  • متراژ زیربنا:

    1730 متر مربع

  • وضعیت مسابقه:

    پایان یافته

  • موقعیت:

    تهران-خیابان شریعتی

  • نام شهر:

    تهران

  • مساحت زمین:

    450 متر مربع

نمودار زمانی مسابقه

  1. شروع

    14_اسفند

  2. پایان ثبت‌نام

    19_فروردین

  3. پایان مسابقه

    04_اردیبهشت

  4. اعلام نتایج

    03_خرداد

مواردی که شما باید ارسال کنید

  • تصاویر سه بعدی چهار وجه نما با فرمت JPG
  • تصاویر سه بعدی نورپردازی چهار وجه نما با فرمت JPG
  • یک فایل اتوکد شامل: پلان کلیه طبقات و یک برش از ساختمان که ترجیحا به‌ صورت طولی از راه‌پله عبور کند با فرمت DWG
  • یک آلبوم جهت ارائه کانسپت پروژه و پلان کلیه طبقات، نما‌ها، به همراه توجیه طرح با فرمت PDF
  • پلان مبلمان زیرزمین با فرمت JPG
  • پلان اندازه‌گذاری زیرزمین با فرمت JPG
  • پلان مبلمان همکف با فرمت JPG
  • پلان اندازه‌گذاری همکف با فرمت JPG
  • پلان مبلمان طبقات مسکونی با فرمت JPG
  • پلان اندازه‌گذاری طبقات مسکونی با فرمت JPG
  • مقطع ساختمان که از طول راه پله عبور کند با فرمت JPG

توضیحات تکمیلی

بنا به تصمیم کارفرما این مسابقه سه نفر برتر داشته و مبلغ 15 میلیون به عنوان جایزه به نفر سوم پرداخت خواهد شد.
تاریخ پایان مسابقه و ارسال آثار از 30 فروردین به 4 اردیبهشت ماه 1402 تغییر یافت.


مبلغ جایزه

 بنا به درخواست کارفرما در این مسابقه مبلغ 90 میلیون تومان برای نفرات برتر به شرح زیر در نظر گرفته می‌شود.

•  نفر اول: 50 میلیون تومان
•  نفر دوم: 25 میلیون تومان
•  نفر سوم: 15 میلیون تومان


موارد طراحی 
• طراحی پلان 
• طراحی چهار وجه نما


توضیحات کلی پروژه
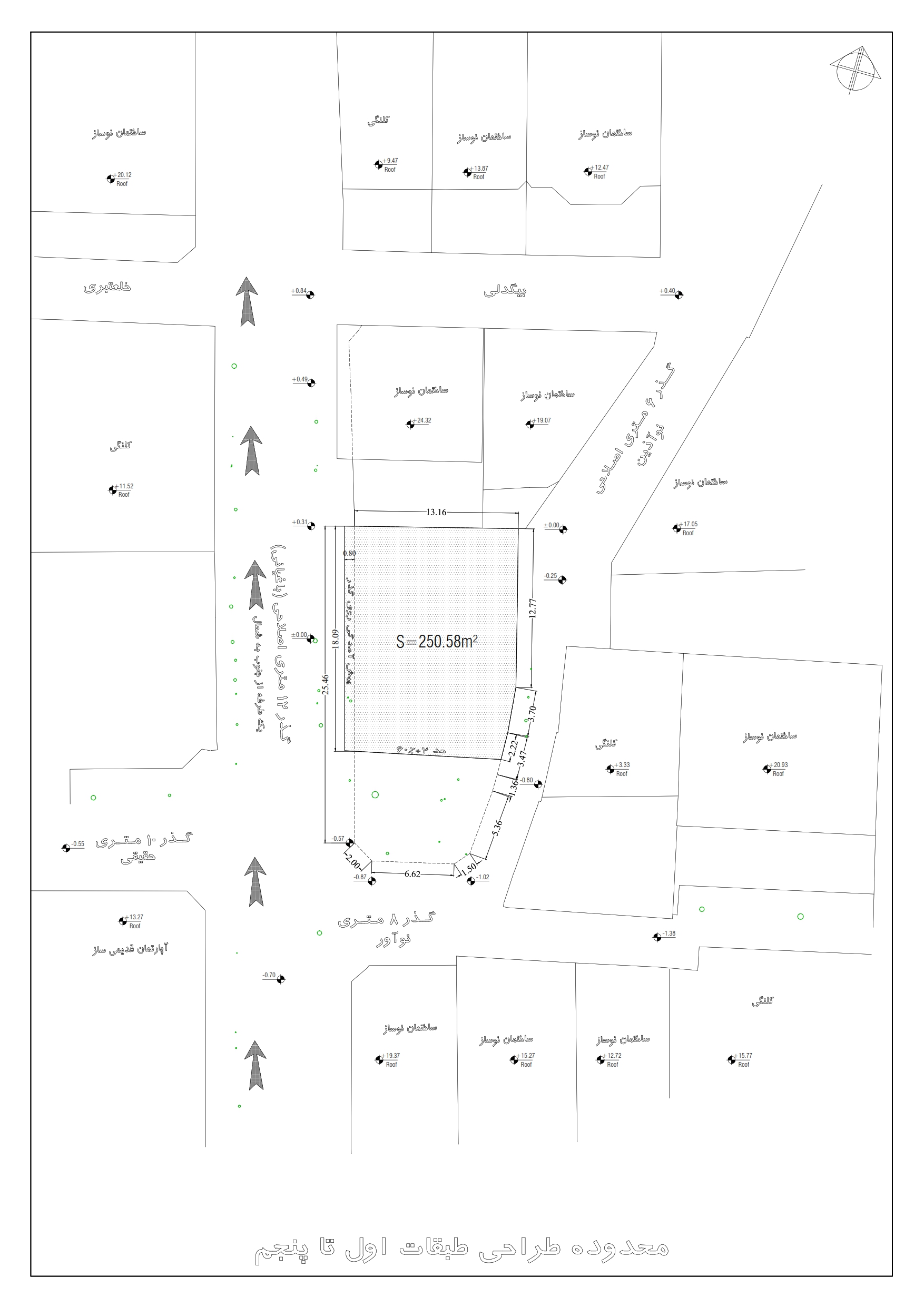
• ساختمان مسکونی نومل با متراژ زمین پس از اصلاحی ۳۲۵ مترمربع و مساحت کل بنا ۱۷۳۰ مترمربع شامل ۵ طبقه مسکونی روی همکف و یک طبقه زیرزمین می‌باشد.
• سطح اشغال کلیه طبقات مطابق با فایل اتوکد پیوست می‌باشد.
• رعایت ضوابط شهرداری و ضوابط آتش‌نشانی الزامی است.
• جانمایی راه‌پله و آسانسور به نحوی باشد که علاوه برجانمایی مناسب، پلانی کاربردی، حداکثر متراژ مفید و تعداد پارکینگ کافی تامین گردد.
• امکان استفاده از پاسیو در طراحی وجود ندارد.
• برای ورود اتومبیل از ضلع غرب امکان جانمایی دو درب ماشین‌رو، از ضلع جنوب تنها امکان جانمایی یک درب ماشین رو و از ضلع شرق امکان جانمایی یک درب ماشین رو فقط در نه متر شمال شرقی مطابق با قسمت مشخص شده در فایل اتوکد قرار گرفته در قسمت فایل‌های راهنما وجود دارد.
• برای مشاهده لوکیشن مسابقه اینجا کلیک کنید.
• ویدئو مربوط به رزومه اجرایی کارفرما صرفا جهت آشنایی شما شرکت کنندگان با نمونه کارهای اجرا شده توسط کارفرمای پروژه می‌باشد و طرح این مسابقه کاملا به سلیقه طراح خواهد بود.


جهت زمین
• ملک شمالی است و دارای سه بر: جنوب (گذر۸ متری)، شرق (گذر۶ متری)، غرب (گذر۱۲ متری). 
• ضلع شمال ملک دید به حیاط همسایه شمالی دارد.
• گذرغربی یک طرفه از جنوب به شمال است.


نوع سازه
• اسکلت بتنی با سقف وافل


سبک طراحی
• مدرن


سیستم سرمایش و گرمایش
• داکت اسپلیت و پکیج 


کد مجاز همکف  و کد صفر– صفر در سایت پلان
• مطابق با نقشه اتوکد آپلود شده در قسمت فایل‌های راهنما


سطح اشغال کاربری زیرزمین
• سطح اشغال طبقه زیرزمین مطابق با فایل اتوکد پیوست می‌باشد.
• در طبقه زیرزمین پارکینگ و انباری طراحی شود.


ارتفاع کف تا کف همکف
• 3/60 متر
• کد کف همکف به گونه‌ای در نظر گرفته شود که بتوان برای طبقه اول هم کنسول روی گذر درنظر گرفته شود. ارتفاع زیرکنسول از بالاترین تراز گذر باید حداقل 3/50 متر باشد. ضخامت دال کنسول حداقل 25 سانتی متر در نظر گرفته شود.


سطح اشغال و کاربری مجاز طبقه همکف
• سطح اشغال مطابق با فایل اتوکد پیوست می‌باشد.
• در طبقه همکف لابی و پارکینگ و سالن اجتماعات طراحی شود.
• برای تامین تعداد پارکینگ مورد نیاز در صورت لزوم می‌توان سالن اجتماعات را حذف کرد.


تعداد طبقات روی همکف
• 5 طبقه مسکونی


مشخصات واحد مسکونی
هر طبقه شامل دو واحد ۱۳۰ و ۱۰۰ مترمربعی این دو متراژ با توجه به سلیقه معمار تا حدود ۱۰ مترمربع امکان اضافه و یا کاهش متراژ دارد.
طبقات به صورت تیپ طراحی شوند، مگر تغییرات جزئی که مربوط به طراحی نما می شود .
•  جانمایی پلان‌ها بسته به سلیقه طراح می‌تواند شمالی-جنوبی و یا شرقی-غربی باشد.
•  واحد بزرگ‌تر دو الی سه اتاق خواب. ترجیحا سه خواب، اما حتما یک اتاق خواب، به صورت مستر طراحی شود.
•  واحد کوچک‌تر دو خواب، اما حتما یک اتاق خواب، به صورت مستر طراحی شود.


ارتفاع کف تا کف طبقات
• 3/60 متر


تعداد پارکینگ
ضوابط پارکینگ در قسمت فایل‌های راهنما مطالعه شود.
تامین حداقل ۱۲ واحد پارکینگ با ابعاد استاندارد و مطابق با ضوابط الزامی است.


راه‌پله و آسانسور
ضوابط راه‌پله و آسانسور در قسمت فایل‌های راهنما مطالعه شود.
• 
یک دستگاه راه‌پله و یک دستگاه آسانسور ویلچربر با ابعاد مفید ۲*۱/۶۰ متر
• 
راه‌پله با ابعاد استاندارد و دودبند طراحی شود.
• 
راه‌پله مطابق با مبحث ۳ مقررات ملی و ضوابط شهرداری تهران و صرفا به صورت دو بازو (رفت و برگشتی) طراحی شود. استفاده ازپله در پاگرد به هیچ وجه مجاز نمی‌باشد.
لابی آسانسور در کلیه طبقات از راه‌پله جدا باشد.
برای راه‌پله داکت فشار مثبت با حداقل ابعاد ۷۰*۳۵ سانتی‌متر در نظر گرفته شود.


طراحی نما
طراحی نما به سبک مدرن
طراحی پنجره‌ها در نما به سلیقه طراح و با حداکثر نورگیری انجام بگیرد.
در صورت استفاده از پنجره قدی، رعایت جان‌پناه و ضوابط مقررات ملی الزامی است.
طراحی چهار وجه نما الزامی است و  انتخاب متریال سه وجه جنوب، شرق و غرب به سلیقه طراح است اما برای نمای وجه شمال الزاما از سیمان سفید (یا رنگ‌های دیگر) استفاده شود.

امتیازات این مسابقه

انصراف از مسابقه شرکت در مسابقه فینالیست تقدیر شونده نفر سوم نفر دوم نفر اول
-20 10 50 50 100 300 600
پیشنهاد و بازخورد